Cookie Consent by Free Privacy Policy website Dočasná úprava křižovatky u MÚ na okružní křižovatku | Holice | město neznámé energie
Úvod > Infocentrum > Aktuality > 2021 > Dočasná úprava křižovatky u MÚ na okružní křižovatku

Dočasná úprava křižovatky u MÚ na okružní křižovatku

2. 8. 2021 | Barbora Štěpánová

Sdílet Facebook Twitter

Kruhovy Objezd

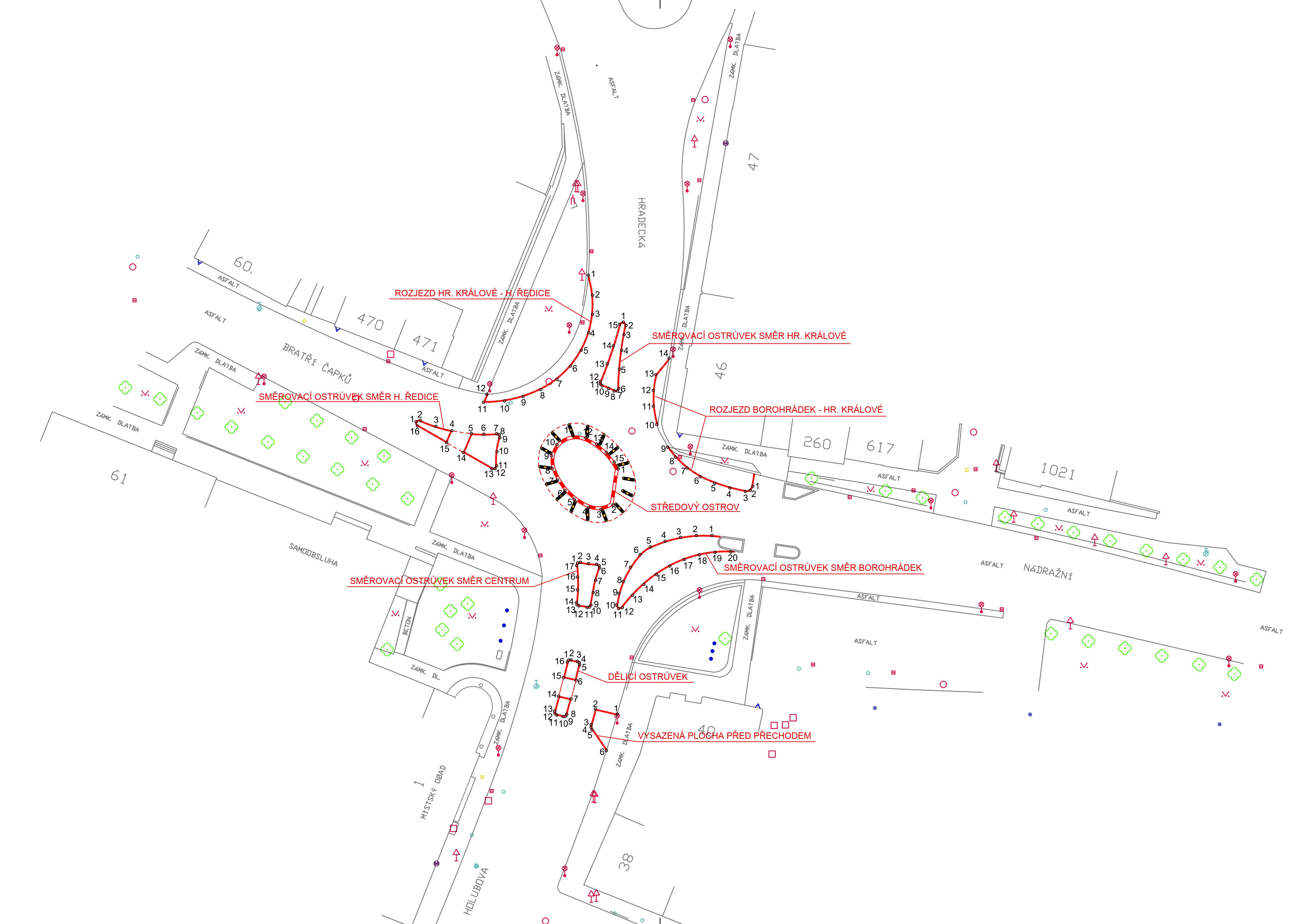
Od 16. srpna 2021 bude probíhat dočasná úprava křižovatky I/36 Holice s III/2981 (u městského úřadu) na okružní křižovatku. Řiďte se prosím značením, které bude upravovat provoz v místě stavby.

Jedná se o investiční akci Ředitelství silnic a dálnic ČR, která by měla být dokončena nejpozději koncem září.